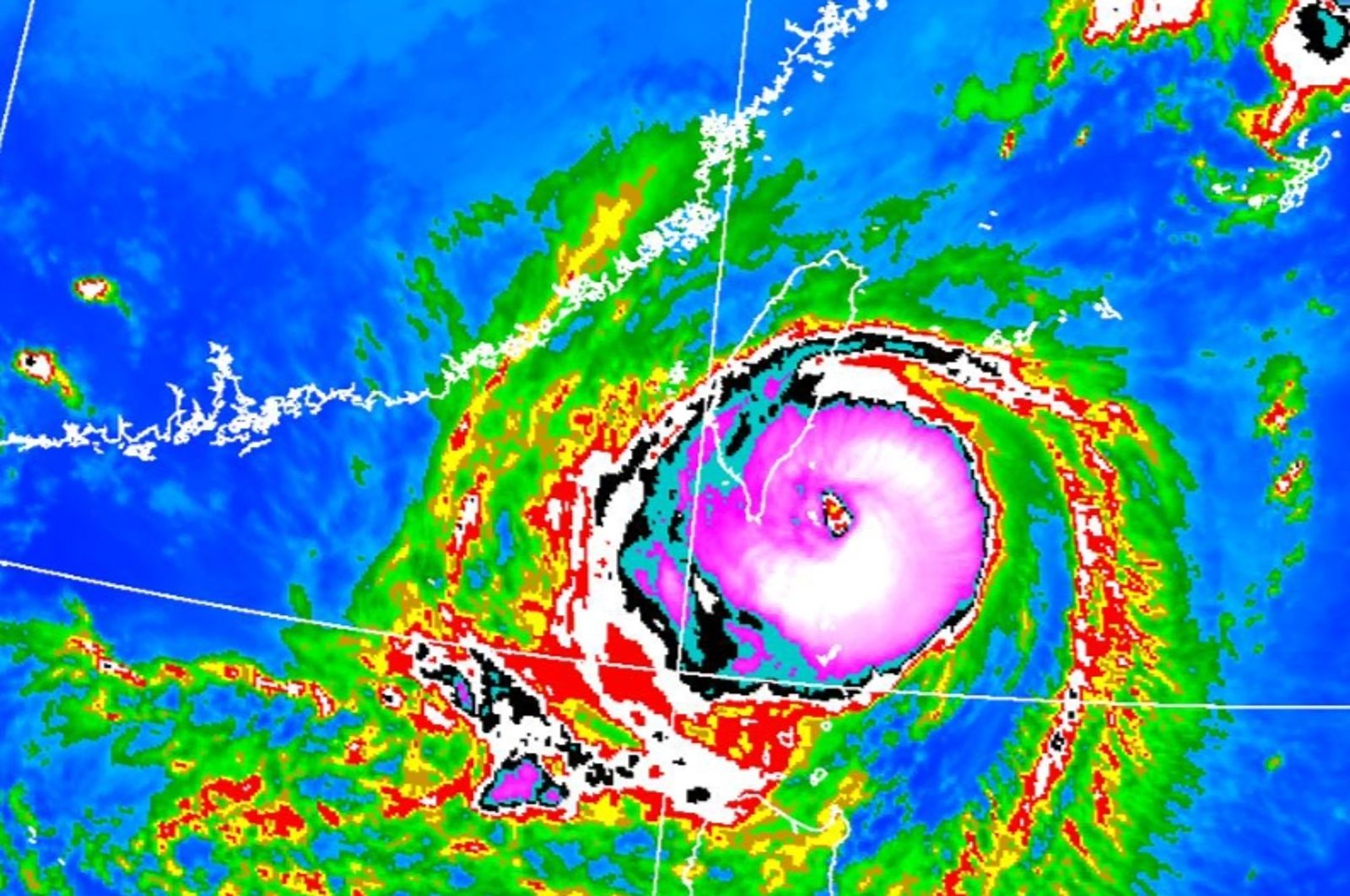
根據最新氣象資料顯示,第14號颱風強度略為增強,目前中心在鵝鑾鼻東方海面,向西移動,其暴風圈已進入台灣東部、東南部、南投、嘉義、高雄以南陸地,對宜蘭、花蓮、台東、新竹以南、恆春半島及澎湖構成威脅,中央氣象署也持續發布海上、陸上颱風警報。
全台縣市10月5日停班停課如下:
北部地區
- 台北市:5日正常上班、上課
- 新北市:5日正常上班、上課
- 基隆市:5日正常上班、上課
- 桃園市:5日正常上班、上課
- 新竹市:5日停班、停課
- 新竹縣:5日停班、停課
中部地區
- 苗栗縣:5日停班、停課
- 台中市:5日停班、停課
- 彰化縣:5日停班、停課
- 雲林縣:5日停班、停課
- 南投縣:5日停班、停課
南部地區
- 嘉義縣:5日停班、停課
- 嘉義市:5日停班、停課
- 台南市:5日停班、停課
- 高雄市:5日停班、停課
- 屏東縣:5日停班、停課
東部地區
- 宜蘭縣:5日停班、停課
- 花蓮縣:5日停班、停課
- 台東縣:5日停班、停課
外島地區
- 連江縣:5日停班、停課
- 金門縣:5日停班、停課
- 澎湖縣:5日停班、停課



